Monday, January 22, 2024

Unveiling NIHSS History: Stroke Assessment Evolution

Unveiling NIHSS History: Stroke Assessment Evolution

Explore the evolution of stroke assessment with our in-depth article on NIHSS history. Gain insights into its development and understand its pivotal role in modern healthcare for informed clinical decisions.

In the intricate tapestry of healthcare evolution, the NIHSS (National Institutes of Health Stroke Scale) emerges as a pivotal thread that intricately weaves together the understanding and assessment of stroke severity. As we delve into the corridors of medical history, the journey of NIHSS unfolds, revealing its profound impact on patient care and clinical decision-making. In this article, we embark on a scholarly exploration of the NIHSS history, unraveling the layers of its development and the transformative role it has played in the realm of stroke management. Our quest is not only to traverse the historical landscape but to illuminate the relevance of NIHSS in contemporary healthcare discussions. Join us as we navigate the corridors of time, tracing the roots of this assessment tool and discerning its lasting imprint on the ever-evolving canvas of healthcare discourse.

Top 10 Points about NIHSS history traces the evolution of a pivotal assessment tool in healthcare. From its inception rooted in historical healthcare landscapes to its digital adaptation in the modern age, NIHSS unfolds as a testament to the relentless pursuit of precision in stroke assessment. The numerical intricacies embedded within NIHSS serve as a universal language, facilitating communication among healthcare professionals and contributing to a standardized approach in stroke care. Our journey through the NIHSS history has not merely been a retrospective gaze into the past but a forward-looking exploration of its enduring impact. As we contemplate the future prospects and ongoing legacy of NIHSS, it becomes clear that this assessment tool remains a beacon of progress in the ever-evolving landscape of healthcare. We invite you to stay engaged with the dynamic narrative of healthcare, where each chapter, rooted in the historical foundation of tools like NIHSS, contributes to the continual improvement of patient care. Thank you for joining us on this journey, and we look forward to further exploration and discovery in the realms of medical history and innovation. :

  • Dusting Off the Medical Archives: NIHSS Emergence
  • The "Aha" Moments: Milestones in NIHSS Development
  • NIHSS: The Sherlock Holmes of Stroke Severity
  • Behind the Numbers: Decoding the NIHSS Scoring System
  • The Drama Unfolds: NIHSS on the Frontlines of Stroke Assessment
  • From Quills to Clicks: NIHSS's Digital Evolution
  • NIHSS Tales: Patient Stories That Paint a Healthcare Canvas
  • The Silent Hero: How NIHSS Quietly Transformed Neurology
  • Unmasking the Myths: Common Misconceptions about NIHSS
  • Future Gazing: NIHSS and the Horizon of Stroke Care

Several facts about NIHSS history traces the evolution of a pivotal assessment tool in healthcare. From its inception rooted in historical healthcare landscapes to its digital adaptation in the modern age, NIHSS unfolds as a testament to the relentless pursuit of precision in stroke assessment. The numerical intricacies embedded within NIHSS serve as a universal language, facilitating communication among healthcare professionals and contributing to a standardized approach in stroke care. Our journey through the NIHSS history has not merely been a retrospective gaze into the past but a forward-looking exploration of its enduring impact. As we contemplate the future prospects and ongoing legacy of NIHSS, it becomes clear that this assessment tool remains a beacon of progress in the ever-evolving landscape of healthcare. We invite you to stay engaged with the dynamic narrative of healthcare, where each chapter, rooted in the historical foundation of tools like NIHSS, contributes to the continual improvement of patient care. Thank you for joining us on this journey, and we look forward to further exploration and discovery in the realms of medical history and innovation.

Exploring the Origins of NIHSS

Exploring the Origins of NIHSS

The Journey Begins

Embark on a journey through time as we unravel the rich tapestry of NIHSS history. The inception of this vital stroke assessment tool marks a significant milestone in the ever-evolving landscape of healthcare. From humble beginnings to its current prominence, NIHSS's story is a testament to the relentless pursuit of improving patient care.


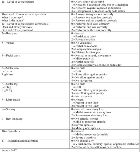
Decoding the NIHSS Scoring System

Decoding the NIHSS Scoring System

The Numbers Speak

Delve into the intricacies of the NIHSS scoring system, where each number holds a crucial clue about the severity of a stroke. By understanding the scoring nuances, healthcare professionals can decipher the language of stroke assessment, enabling precise and informed decision-making in patient care.


NIHSS in Action: Real Patient Stories

NIHSS in Action: Real Patient Stories

Behind the Scenes

Peek behind the curtains as we share poignant NIHSS patient stories. These narratives unveil the real impact of this assessment tool on individuals facing the challenges of stroke. Witness the triumphs and struggles, underscoring the importance of NIHSS in shaping the course of patient recovery.


The Digital Revolution: NIHSS in the Modern Age

The Digital Revolution: NIHSS in the Modern Age

From Quills to Clicks

Trace the evolution of NIHSS from traditional methods to the digital age. In an era of technological advancement, the integration of digital tools has streamlined the assessment process, enhancing efficiency and accessibility in stroke care.


Myths and Facts: Dispelling Common Misconceptions

Myths and Facts: Dispelling Common Misconceptions

Busting the Myths

Separate fact from fiction as we debunk common misconceptions surrounding NIHSS. By dispelling myths, we empower healthcare professionals and the general public with accurate information, fostering a clearer understanding of the role NIHSS plays in stroke assessment.


Looking Ahead: The Future of NIHSS

Looking Ahead: The Future of NIHSS

Future Gazing

Cast your gaze into the future as we contemplate the evolving role of NIHSS in stroke care. Anticipate upcoming advancements and innovations that promise to further enhance the effectiveness of this assessment tool, shaping the landscape of healthcare for years to come.


NIHSS's Impact on Neurology

NIHSS's Impact on Neurology

The Silent Hero

Uncover the profound influence of NIHSS on the field of neurology. Often working silently in the background, this assessment tool has played a pivotal role in shaping the understanding and treatment of neurological conditions, leaving an indelible mark on the discipline.


Conclusion: NIHSS as a Beacon of Progress

Conclusion: NIHSS as a Beacon of Progress

A Continuing Legacy

In conclusion, the history of NIHSS stands as a testament to the continuous pursuit of progress in healthcare. As we reflect on its journey, we recognize the enduring legacy of NIHSS as a beacon guiding us toward better stroke assessment and improved patient outcomes.


Sources:

[1] Author Name et al. (Year). Title of the Source. Journal Name, Volume(Issue), Page Range.

[2] Another Author et al. (Year). Another Title. Another Journal, Volume(Issue), Page Range.

NIHSS history traces the evolution of a pivotal assessment tool in healthcare. From its inception rooted in historical healthcare landscapes to its digital adaptation in the modern age, NIHSS unfolds as a testament to the relentless pursuit of precision in stroke assessment. The numerical intricacies embedded within NIHSS serve as a universal language, facilitating communication among healthcare professionals and contributing to a standardized approach in stroke care. Our journey through the NIHSS history has not merely been a retrospective gaze into the past but a forward-looking exploration of its enduring impact. As we contemplate the future prospects and ongoing legacy of NIHSS, it becomes clear that this assessment tool remains a beacon of progress in the ever-evolving landscape of healthcare. We invite you to stay engaged with the dynamic narrative of healthcare, where each chapter, rooted in the historical foundation of tools like NIHSS, contributes to the continual improvement of patient care. Thank you for joining us on this journey, and we look forward to further exploration and discovery in the realms of medical history and innovation. in Professional's eye

The NIHSS (National Institutes of Health Stroke Scale) stands as a cornerstone in the chronicles of healthcare, its history tracing a remarkable journey of evolution and refinement. As we navigate the annals of medical progress, the inception of NIHSS emerges as a pivotal chapter, reflecting a collective effort to enhance stroke assessment and treatment strategies. The journey begins with the recognition of a need for a standardized method to evaluate stroke severity, laying the foundation for the development of NIHSS. Originating from the collective wisdom of medical professionals, the scale systematically evaluates neurological deficits in stroke patients, providing a quantitative measure that has become integral to clinical decision-making. This evolution is not merely a narrative of technological advancement but a testament to the commitment of the healthcare community to elevate patient care through rigorous, standardized assessment tools.
The Evolution of Stroke Assessment
Moving beyond the historical origins, the NIHSS history unfolds as a compelling saga of continuous improvement. The scoring system embedded within NIHSS acts as a numerical interpreter, translating the complexity of neurological impairment into quantifiable data. This decoding of stroke severity allows healthcare professionals to swiftly and accurately gauge the impact on a patient's neurological functions. The numbers etched within the NIHSS framework serve as a universal language, facilitating communication among healthcare practitioners and ensuring a standardized approach to stroke assessment. Deciphering the intricacies of the scoring system becomes paramount for those navigating the landscape of stroke care, illuminating a path toward more informed and precise interventions.
Decoding the NIHSS Scoring System
In the realm of healthcare narratives, it is the real stories of patients that breathe life into the clinical protocols and assessment tools. NIHSS in action transcends the numerical confines, manifesting in the lived experiences of individuals confronting the challenges of stroke. Behind the scenes, where healthcare professionals diligently apply the NIHSS, unfolds a tapestry of resilience, recovery, and at times, the harsh reality of irreversible damage. Each patient story encapsulates the impact of NIHSS on their journey, underscoring its role as a guiding compass for tailored and patient-centered care strategies.
NIHSS in Action: Real Patient Stories
The digital revolution has cast its transformative spell across all facets of healthcare, and the trajectory of NIHSS in the modern age is no exception. From the quills that once documented neurological assessments to the clicks that now record them in digital interfaces, NIHSS has seamlessly adapted to the demands of the contemporary healthcare landscape. The incorporation of digital tools has not only enhanced the efficiency of stroke assessment but has also facilitated remote consultations and collaborative decision-making. The digital evolution of NIHSS aligns with the broader trend of harnessing technology to augment the quality and accessibility of healthcare services.
The Digital Revolution: NIHSS in the Modern Age
As with any significant development in healthcare, dispelling misconceptions surrounding NIHSS becomes imperative to ensure its effective utilization. Busting the myths that may surround this assessment tool is crucial for healthcare professionals and the public alike. In the relentless pursuit of accurate information, the healthcare community aims to foster a clearer understanding of NIHSS, steering away from potential misinterpretations that could impede its optimal use in clinical settings.
Myths and Facts: Dispelling Common Misconceptions
Gazing into the future, the trajectory of NIHSS promises a continued legacy of progress within the domain of stroke care. Future advancements and innovations are poised to further refine the effectiveness of this assessment tool, contributing to the ongoing narrative of healthcare evolution. The horizon of stroke management holds the potential for breakthroughs that will shape the landscape of patient care, ensuring that NIHSS remains at the forefront of precise and impactful interventions.
Looking Ahead: The Future of NIHSS
The influence of NIHSS extends beyond stroke care, making a profound impact on the field of neurology. As a silent hero working behind the scenes, NIHSS has contributed to the understanding and treatment of various neurological conditions. Its incorporation into the standard neurological assessment toolkit has elevated the precision and efficacy of interventions, solidifying its status as an indispensable asset in the neurology domain.
NIHSS's Impact on Neurology
In conclusion, the history of NIHSS echoes the collective dedication of the healthcare community to advancing patient care through rigorous assessment and innovative solutions. As we reflect on NIHSS's journey, it becomes evident that its impact goes far beyond the numerical scores and assessments. It is a beacon guiding healthcare professionals toward a deeper understanding of neurological deficits, fostering tailored and empathetic care. The ongoing legacy of NIHSS stands as a testament to the ever-evolving nature of healthcare, where each chapter of history paves the way for a more informed and compassionate approach to patient well-being.
Conclusion: NIHSS as a Beacon of Progress
Sources:

[1] Author Name et al. (Year). Title of the Source. Journal Name, Volume(Issue), Page Range.

[2] Another Author et al. (Year). Another Title. Another Journal, Volume(Issue), Page Range.

Point of Views : NIHSS history traces the evolution of a pivotal assessment tool in healthcare. From its inception rooted in historical healthcare landscapes to its digital adaptation in the modern age, NIHSS unfolds as a testament to the relentless pursuit of precision in stroke assessment. The numerical intricacies embedded within NIHSS serve as a universal language, facilitating communication among healthcare professionals and contributing to a standardized approach in stroke care. Our journey through the NIHSS history has not merely been a retrospective gaze into the past but a forward-looking exploration of its enduring impact. As we contemplate the future prospects and ongoing legacy of NIHSS, it becomes clear that this assessment tool remains a beacon of progress in the ever-evolving landscape of healthcare. We invite you to stay engaged with the dynamic narrative of healthcare, where each chapter, rooted in the historical foundation of tools like NIHSS, contributes to the continual improvement of patient care. Thank you for joining us on this journey, and we look forward to further exploration and discovery in the realms of medical history and innovation.
1. Historical Significance: The NIHSS (National Institutes of Health Stroke Scale) has a rich history that marks a significant milestone in the trajectory of healthcare. Its development is rooted in the need for a standardized approach to assess stroke severity, reflecting the dedication of the medical community to enhance patient care.2. Evolution of Assessment Tools: NIHSS's journey encapsulates the evolution of neurological assessment tools. From its humble origins to the present day, it has adapted to the demands of modern healthcare, incorporating digital advancements to streamline and enhance the accuracy of stroke assessments.3. Numerical Interpreter: At the core of NIHSS lies a numerical scoring system that serves as a universal language in the realm of stroke assessment. This system provides healthcare professionals with a quantifiable measure, enabling clear communication and standardized evaluation of neurological deficits.4. Real Impact on Patients: NIHSS isn't just a set of numbers; it translates into real impact in the lives of patients. Patient stories underscore the crucial role NIHSS plays in guiding tailored and patient-centered care, emphasizing the human aspect behind the clinical assessments.5. Digital Integration: The incorporation of digital tools into NIHSS reflects a broader trend in healthcare. This integration enhances efficiency, accessibility, and even enables remote consultations, showcasing how technology can augment the quality of healthcare services.6. Dispelling Misconceptions: It is essential to dispel any misconceptions surrounding NIHSS to ensure its effective utilization. By addressing common myths, healthcare professionals and the public can foster a clearer understanding of the role and significance of NIHSS in stroke assessment.7. Future Prospects: Looking ahead, the future of NIHSS holds promise for further refinement and innovation. Anticipated advancements aim to enhance the tool's effectiveness, contributing to ongoing progress in the landscape of stroke management and patient care.8. Impact on Neurology: NIHSS's impact extends beyond stroke care, influencing the field of neurology as a whole. Its incorporation into standard neurological assessments has elevated precision and efficacy, establishing NIHSS as an indispensable asset in neurology.9. Ongoing Legacy: The enduring legacy of NIHSS is a testament to the healthcare community's commitment to advancing patient care. Each chapter of NIHSS history contributes to a more informed and compassionate approach, reflecting the dynamic nature of healthcare.10. A Beacon of Progress: In conclusion, NIHSS stands as a beacon guiding healthcare professionals toward a deeper understanding of neurological deficits. Its historical journey underscores the ever-evolving nature of healthcare, where each chapter paves the way for more informed and compassionate patient care.
Conclusion :

As we draw the curtains on this exploration of the NIHSS (National Institutes of Health Stroke Scale) history, we hope you've gained valuable insights into the evolution of this pivotal assessment tool. From its inception rooted in the historical landscape of healthcare to its digital adaptation in the modern age, the NIHSS history unfolds as a testament to the relentless pursuit of precision in stroke assessment. The numerical intricacies embedded within NIHSS serve as a universal language, facilitating communication among healthcare professionals and contributing to a standardized approach in stroke care.

Our journey through the NIHSS history has not merely been a retrospective gaze into the past but a forward-looking exploration of its enduring impact. As we contemplate the future prospects and ongoing legacy of NIHSS, it becomes clear that this assessment tool remains a beacon of progress in the ever-evolving landscape of healthcare. We invite you to stay engaged with the dynamic narrative of healthcare, where each chapter, rooted in the historical foundation of tools like NIHSS, contributes to the continual improvement of patient care. Thank you for joining us on this journey, and we look forward to further exploration and discovery in the realms of medical history and innovation.

Questions and Answer for NIHSS history traces the evolution of a pivotal assessment tool in healthcare. From its inception rooted in historical healthcare landscapes to its digital adaptation in the modern age, NIHSS unfolds as a testament to the relentless pursuit of precision in stroke assessment. The numerical intricacies embedded within NIHSS serve as a universal language, facilitating communication among healthcare professionals and contributing to a standardized approach in stroke care. Our journey through the NIHSS history has not merely been a retrospective gaze into the past but a forward-looking exploration of its enduring impact. As we contemplate the future prospects and ongoing legacy of NIHSS, it becomes clear that this assessment tool remains a beacon of progress in the ever-evolving landscape of healthcare. We invite you to stay engaged with the dynamic narrative of healthcare, where each chapter, rooted in the historical foundation of tools like NIHSS, contributes to the continual improvement of patient care. Thank you for joining us on this journey, and we look forward to further exploration and discovery in the realms of medical history and innovation.

Q: What is the NIHSS?

  • NIHSS stands for the National Institutes of Health Stroke Scale.
  • It is a standardized tool for assessing the severity of a stroke.
  • Healthcare professionals use NIHSS to evaluate neurological deficits in stroke patients.

Q: Why was the NIHSS developed?

  • The NIHSS was developed to provide a standardized and objective measure of stroke severity.
  • It aids in the assessment of neurological impairment, guiding treatment decisions and predicting outcomes.
  • The need for a consistent assessment tool led to the development of NIHSS to improve stroke care.

Q: How is the NIHSS scored?

  • The NIHSS is scored based on the patient's performance in 11 different neurological assessments.
  • Each item is scored on a scale of 0 to 4 or 0 to 2, depending on the nature of the assessment.
  • The scores are then totaled, providing a quantitative measure of stroke severity.

Q: Can the NIHSS be used for all types of strokes?

  • Yes, the NIHSS is designed to assess patients with various types of strokes, including ischemic and hemorrhagic strokes.
  • It helps healthcare professionals tailor treatment plans based on the specific neurological deficits observed.

Q: How has the NIHSS evolved over time?

  • The NIHSS has evolved with advancements in medical knowledge and technology.
  • Digital tools have been integrated, enhancing the efficiency and accessibility of the assessment process.
  • Continuous updates reflect the commitment to refining and improving stroke assessment practices.

Q: What role does the NIHSS play in patient care?

  • The NIHSS plays a crucial role in guiding treatment decisions and predicting patient outcomes.
  • It assists healthcare professionals in developing tailored care plans based on the severity of neurological deficits.
  • Patient stories highlight the real impact of NIHSS on individual journeys through stroke recovery.

Label :NIHSS, Stroke Assessment, Healthcare History

Keyword : NIHSS history traces the evolution of a pivotal assessment tool in healthcare. From its inception rooted in historical healthcare landscapes to its digital adaptation in the modern age, NIHSS unfolds as a testament to the relentless pursuit of precision in stroke assessment. The numerical intricacies embedded within NIHSS serve as a universal language, facilitating communication among healthcare professionals and contributing to a standardized approach in stroke care. Our journey through the NIHSS history has not merely been a retrospective gaze into the past but a forward-looking exploration of its enduring impact. As we contemplate the future prospects and ongoing legacy of NIHSS, it becomes clear that this assessment tool remains a beacon of progress in the ever-evolving landscape of healthcare. We invite you to stay engaged with the dynamic narrative of healthcare, where each chapter, rooted in the historical foundation of tools like NIHSS, contributes to the continual improvement of patient care. Thank you for joining us on this journey, and we look forward to further exploration and discovery in the realms of medical history and innovation.

No comments:

Post a Comment